The Britton Cottage Book

The Brittain Cottage

The following pages are available for viewing on a page by page basis to minimize file size. The original book did not number pages that included illustrations, and blank pages have not been included in these page numbers; as a result, actual page numbers will not match with the book. The image size will be larger than your screen, but is designed for high quality printing when downloaded.

Front Cover

Page 3

Page 4

Page 5

Page 6

Page 7

Page 8

Page 9

Page 10

Page 11

Page 12

Page 13

Page 14

Page 15

Page 16

Page 17

Page 18

Page 19

Page 20

Page 21

Page 22

Page 23

 

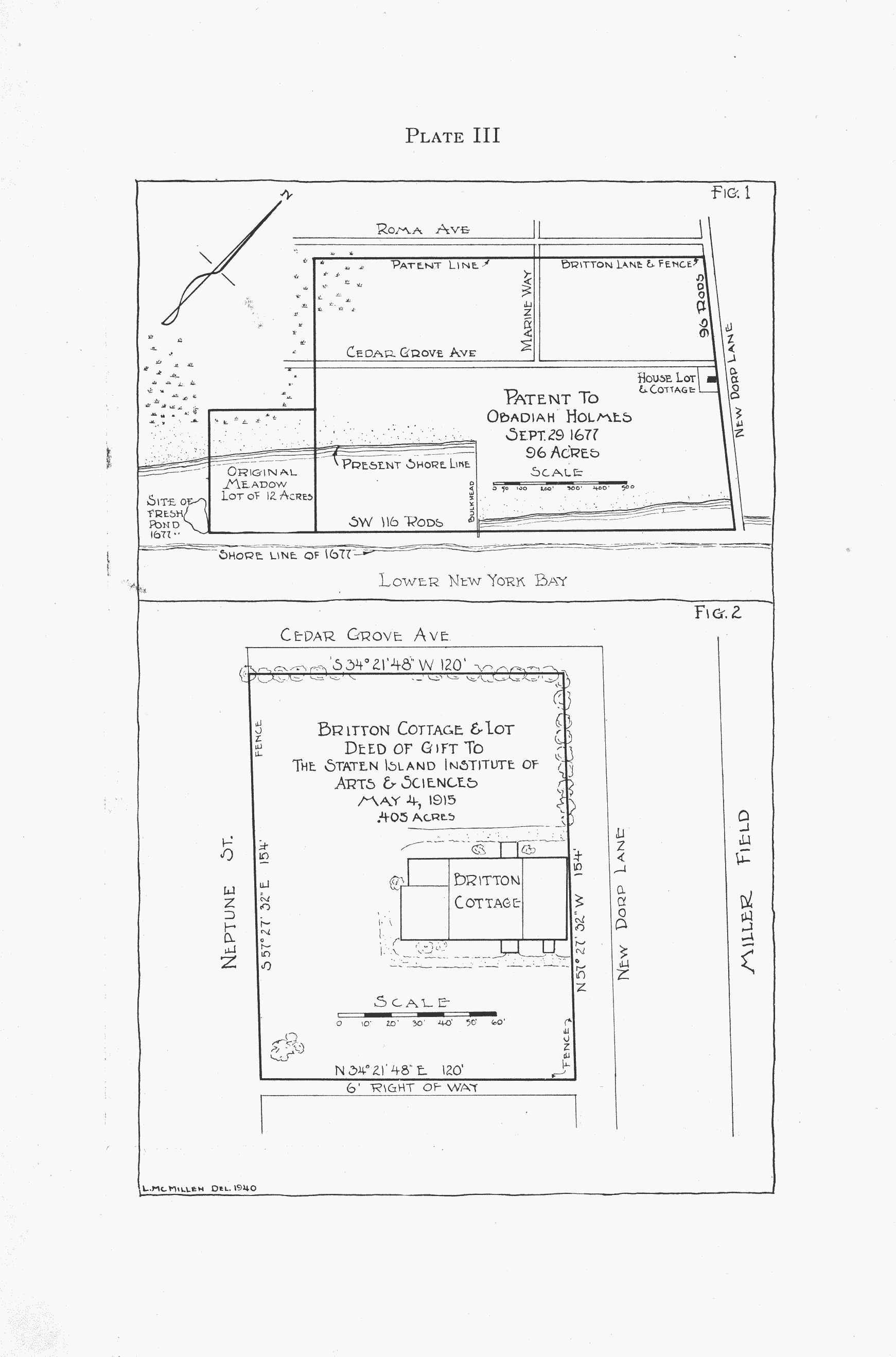
The Britton Cottage was built in 1699, and can be seen on Staten Island, NY at the Richmondtown Restoration. It is one of the most unique examples of colonial architecture that can be found today. The original house was the stone section. Each successive addition was constructed in a different architectural style that was prevalent in its day. A limited production (only 200 copies) book, The Britton Cottage, details every facet of the house. A full copy of the book is available here, reprinted with permission.

BACK